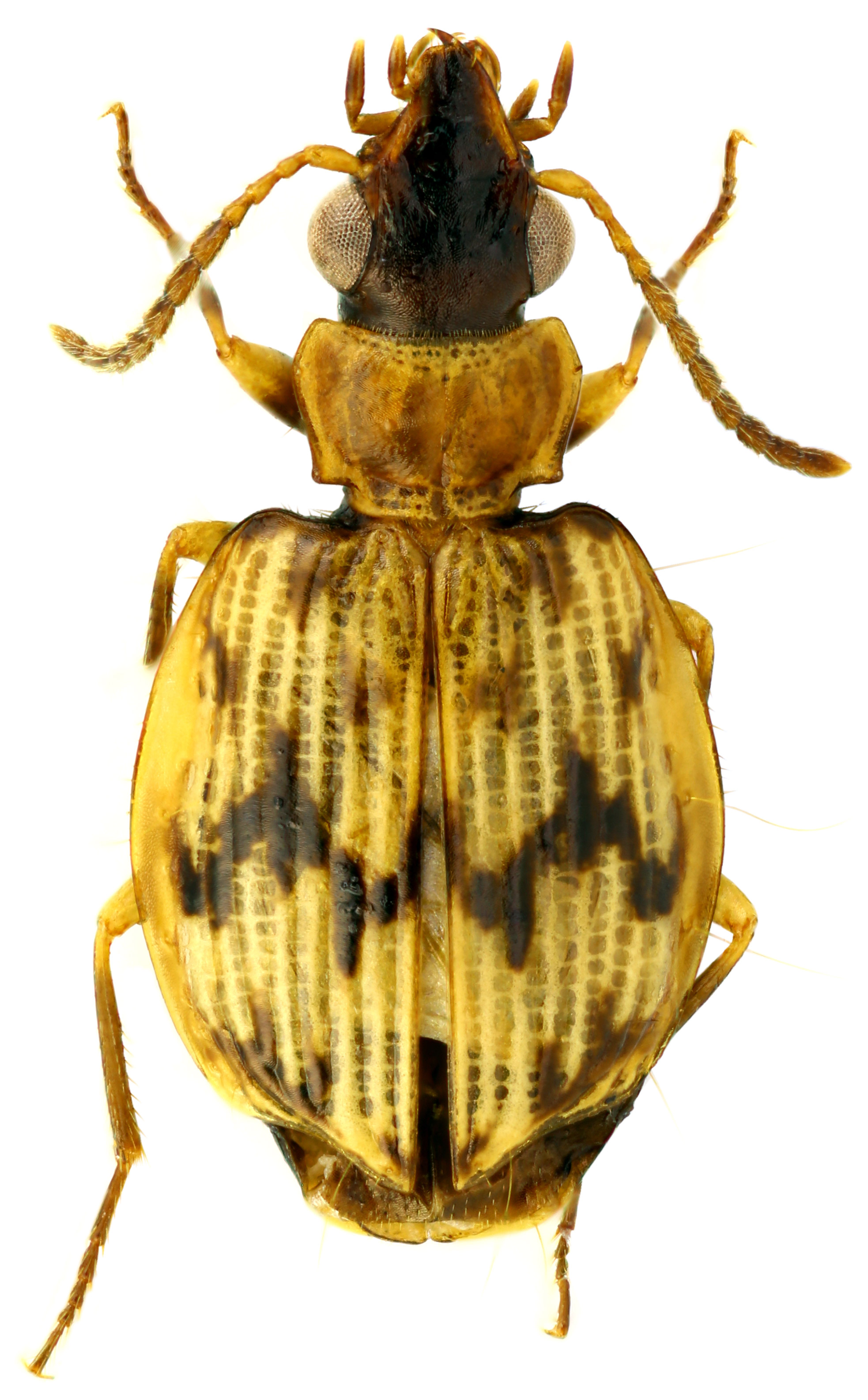
Coptodera chaudoiri es una especie de escarabajo del género Coptodera, familia Carabidae.[1] Fue descrita científicamente por Andrewes en 1919.[1]
Habita en China, Japón, Taiwán, Sri Lanka, India, Birmania, Laos, Indonesia y Filipinas.[1]
Referencias
Bibliografía
- Andrewes, H.E. On the types of Oriental Carabidae in the British Museum, and in the HOPE Department of the Oxford University Museum. Transactions of the Entomological Society of London, 1919: 119-217. (London). (1919).




